【浦东永泰三里城】售楼处电话:(官方)温馨提示:因本楼盘现场参观样板间采用预约制,过来之前请记得拨打售楼处电话进行预约,感谢配合!为了给您带来更好的看房体验请提前来电预约!(提前准备茶歇和停车位)上海近市区新房的上车门槛越来越高了。
诺大的上海中外环,2023年至今新房成交的套均总价已高达约973万/套,如果在细分到浦西市中心七区、浦东市区,那么这一数字将会更高!

再看上海中环外各大热门板块,几乎清一色价格在8万/㎡+,部分板块价格可达9万/㎡+。
换句话说,中外环热门地段一套建面约100㎡的房子,总价轻松就能达到1000万左右。
区位示意图,数据来源于网上房地产【浦东永泰三里城】售楼处电话:(官方)温馨提示:因本楼盘现场参观样板间采用预约制,过来之前请记得拨打售楼处电话进行预约,感谢配合!

不难发现,贴近中央活动区的中外环板块更为热门,尤其是浦东金色中环带上的板块,如三林滨江。
前滩中央商务区的居住需求势必会外溢,三林滨江自身拥有低密、宜居的属性,中央商务区+低密居住区的黄金组合,将三林滨江的价值高度推向顶峰。【浦东永泰三里城】售楼处电话:(官方)温馨提示:因本楼盘现场参观样板间采用预约制,过来之前请记得拨打售楼处电话进行预约,感谢配合!
三林滨江无疑是中外环少有的10万/㎡+热门板块,别墅价格更是高达13.38万/㎡,板块价值也已深入人心。
永泰三里城高层均价仅约7.8万/㎡,洋房+叠加均价也仅约8.6万/㎡,无疑是整个浦东,乃至上海中外环的价格洼地!【浦东永泰三里城】售楼处电话:(官方)温馨提示:因本楼盘现场参观样板间采用预约制,过来之前请记得拨打售楼处电话进行预约,感谢配合!


1站前滩,浦东三林全新项目——永泰三里城(推广名:东方玉湾)二期开盘热卖中!
均价8.2万/m²,推售房源320套【浦东永泰三里城】售楼处电话:(官方)温馨提示:因本楼盘现场参观样板间采用预约制,过来之前请记得拨打售楼处电话进行预约,感谢配合!
【浦东永泰三里城】售楼处电话:(官方)温馨提示:因本楼盘现场参观样板间采用预约制,过来之前请记得拨打售楼处电话进行预约,感谢配合!


【浦东永泰三里城】售楼处电话:(官方)温馨提示:因本楼盘现场参观样板间采用预约制,过来之前请记得拨打售楼处电话进行预约,感谢配合!
具体细节方面,项目目前只有一个建面约100㎡三房的样板间,带软装后面宽约3.3米,吊顶后层高约2.73米。【浦东永泰三里城】售楼处电话:(官方)温馨提示:因本楼盘现场参观样板间采用预约制,过来之前请记得拨打售楼处电话进行预约,感谢配合!

项目装修品牌方面,为日立中央空调,带东芝的地暖和新风系统,其中厨房kaiyun 开云官方入口与卫生间不含地暖。

从实际效果来看,基本已经是该有的都有,标准配置,但目前的上海新房市场,8万的均价如果只做到这个产品标准,似乎有点无法满足挑剔的购房者,一期认购数据似乎也能证明这一点。根据我们粉丝爆料,项目二期即将升级装标。


永泰三里城即浦东新区三林社区Z000701单元15-15B地块,该地块属于三林镇金光村“城中村”改造项目的一部分。
2022年12月,浦东新区人民政府官网公示了该地块的出让结果,经过遴选,上海香印城市建设投资发展有限公司以总价332640万元竞得该地块,【浦东永泰三里城】售楼处电话:(官方)温馨提示:因本楼盘现场参观样板间采用预约制,过来之前请记得拨打售楼处电话进行预约,感谢配合!楼板价37096元/㎡。

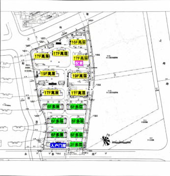
项目四至范围:块东至15-15A和15-15B地块、西邻新桥港、南至永泰路、北邻三林塘,整体位于鑫筠明苑东侧!
根据设计方案显示:项目拟建6栋6F多层住宅、6栋16-18F高层住宅、1栋17F保障房、1栋17F自持租赁住房以及若干社区配套用房!土地面积44835.6㎡,总建筑面积89671.2㎡,容积率2。

永泰三里城项目按照三星级绿色建筑进行设计,施工建设整体采用近零能耗技术方案,立足以人为本的使用需求,创造环保、健康的居住体验,引领城中村项目低碳、绿色、高品质建设发展。
值得一提的是,项目被两条水系包围,叠加三星级绿色建筑进行设计,未来或将会有一个非常不错的居住体验!【浦东永泰三里城】售楼处电话:(官方)温馨提示:因本楼盘现场参观样板间采用预约制,过来之前请记得拨打售楼处电话进行预约,感谢配合!

其次,项目南侧临近永泰路的地方,打造了2栋社区配套建筑,将用作社区食堂、恒温泳池、健身房等,服务于社区的同时有效阻隔道路噪音。【浦东永泰三里城】售楼处电话:(官方)温馨提示:因本楼盘现场参观样板间采用预约制,过来之前请记得拨打售楼处电话进行预约,感谢配合!

项目在外立面上主要采取铝板+真石漆的组合,【浦东永泰三里城】售楼处电话:(官方)温馨提示:因本楼盘现场参观样板间采用预约制,过来之前请记得拨打售楼处电话进行预约,感谢配合!你知道现在的楼市到底有多严峻吗?可以看出来国家已经非常着急了,着急把楼市拉起来。看看最近的各种重量级会议的指示就能窥得一二:

3月22日,国务院总理李强主持召开国务院常务会议,听取关kaiyun 开云官方入口于优化房地产政策、促进房地产市场平稳健康发展有关情况的汇报。会议指出,房地产产业链条长、涉及面广,事关人民群众切身利益,事关经济社会发展大局。
这段话明确表明了房地产的重量级地位,已经关系到人民的切身利益,事关经济发展的大局。你看这话不说“护犊子”,也是明显在给楼市说话了。
为什么说房地产已经关系到人民群众的切身利益了?因为很多家庭的资产都放到了房子上,大家看看现在自己小区的业主群,是不是经常会有人出来说房价的事。甚至有的小区还成立了保房价联盟,一起把房价调高,甚至阻止别的业主低价卖房。
给大家看个数据,前段时间住建部用“456”来回应了当前房地产市场的一些实际情况,房地产相关贷款占银行信贷的40%,相关收入占地方综合财力50%,而居民财富60%都在住房上。
所以说房地产关系到人民的切身利益一点也不假,所以说现在就是拼了命也要把房地产给扶起来。
另外,这次国常会还强调一句话:“有效激发潜在需求”!所以说接下来各地需求端支持政策有望加速跟进。
那么2024年的楼市有望恢复吗?我们不妨看看过去三年的情况,先做个总结。过去的三年对于每个普通人来说都是艰难的。
餐饮、旅游、房地产以及相关产业都受到了不同程度的影响。许多店铺关闭,不少企业裁员、降薪,甚至濒临破产。并且以下三个趋势已经形成:
根据国家统计局发布的数据,2月份,31个大城市城镇调查失业率为5.1%,比上年同月降低0.6个百分点。
再看年龄组的失业率数据:2月全国城镇不包含在校生的16—24岁劳动力失业率为15.3%,全国城镇不包含在校生的25—29岁劳动力失业率为6.4%,全国城镇不包含在校生的30—59岁劳动力失业率为4.2%。
都说中年失业最为尴尬,这个时候失业再找工作就会难很多。用人单位都更喜欢招应届生,因为他们更有精力,也更容易塑造,更重要的是工资也更低。
除了失业,通货膨胀也给人们带来了压力。虽然整体上看,我国的通胀水平还算平稳,但经济的复苏基础并不牢固。并且央行不断印钞,未来通胀潜在隐患还是有的。
数据显示,在2023年7月份时,央妈负债表为40.8万亿,而到2023年底时,这一数据达到了45.6万亿,也就是说,央妈资产表在短短5个月时间扩表近5万亿。
国家统计局1月17日公布的数据显示,2023年全年,全国居民人均可支配收入39218元,较2022年名义增长6.3%,扣除价格因素的实际增速为6.1%;全年居民人均消费支出26796元,名义增长9.2%,实际增长9%。
虽然说居民消费有所回升,但是并没有出现大家想象中的报复性反弹,更像是前面几年消费的弥补。很多人悲观的认为,等这波消费高潮结束之后,大家的消费意愿会进一步降低,特别是大宗消费缩水更明显。
综上所述,如果楼市持续下行可能会导致收入下降、通胀加剧和消费意愿降低这三大趋势的进一步恶化。因此,建议在2024年避免三件事:不要轻易创业、不要轻易贷款购房、不要频繁跳槽。
相反,应该做三件事:开源节流,提升赚钱技能;保持健康的身体状态;及时处理手中的三四线城市房产。未来,房产投资的盈利将变得更加专业化,而房产的价值也将面临着贬值的风险。